Skip to main content

$129,900

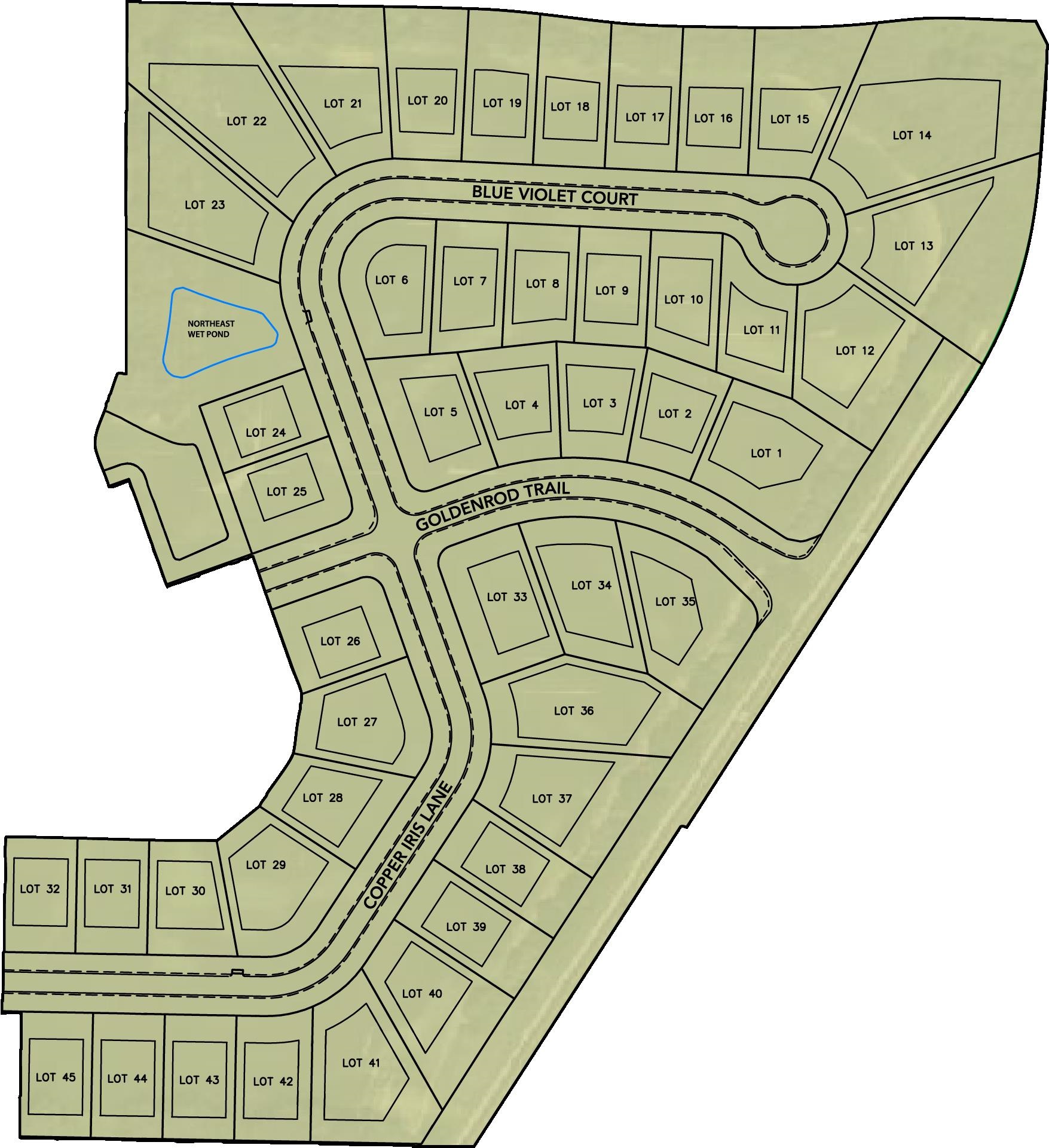
Lot 29 Copper Iris Lane, Oakland, WI, 53523

0.38 Acres

MLS# 2002666

Estimated monthly payment:

Share

Welcome to The Preserve at Oakland, a charming new subdivision offering 100 prime lots. Nestled in the picturesque Town of Oakland—proud sister city to Cambridge—this vibrant community perfectly blends the richness of Dane County amenities with the advantage of Jefferson County taxes, all while celebrating the charm of small-town living.

Surrounded by stunning natural landscapes, a nearby public beach, and a dedicated nature preserve just steps away, your new life in Oakland promises tranquility and adventure. Enjoy seamless access to both the Madison and Milwaukee metro areas, making your journey to this remarkable community effort.

45 lots to choose from in Phase One, final plat was recorded in July, permits available.

  • Days on Market250
  • Lot Size, acres0.38
  • Subdivision NameThe Preserve at Oakland
  • Parcel Number022-0613-0433-014
  • UtilitiesNatural Gas Available, Electricity Available, Cable Available, Underground Utilities
  • Water SourceWell required
  • Tax Year2024
  • SewerPublic Sewer

Contact Agency

AJ

Adashun Jones, Inc.

Phone
By clicking the «REQUEST INFO» button you agree to the Terms of Use and Privacy Policy
By providing your contact information, you consent to receive emails and/or SMS messages from Adashun Jones Real Estate regarding your inquiry. Message and data rates may apply.
Listing Provided by: Build Realty Network, LLC | Deann.buildrealtynetwork@gmail.com